置換房暫住房項目

上半年動工

2021-03-11

都更公司董事會主席林金城(左四)向澳門建築置業商會成員介紹「P」地段設計規劃及招標動工日程

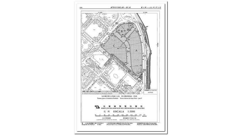
「P」地段暫住房及置換房項目用地(圖片來源:地圖繪製暨地籍局)

【特訊】澳門都市更新股份有限公司(下稱:都更公司)日前拜訪本地建築業界,介紹黑沙灣新填海區「P」地段(下稱:「P」地段)暫住房及置換房項目的規劃設計及招標動工日程,加強與建築團體及職工的交流互動,讓業界瞭解未來的工程數量以作好準備。有關項目用地已獲批給,都更公司將於今年上半年完成招標程序後動工。

都更公司董事會主席林金城、副主席梁竟成,副總經理伍淳慈及高級項目經理吳鉅強一行日前先後拜訪澳門建築置業商會、澳門建造業總工會、澳門建築機械工程商會及澳門建造商會,獲各團體領導層及成員接待。

會上,都更公司代表介紹上述暫住房及置換房項目的規劃設計及招標動工日程。都更公司去年已完成項目的規劃設計,「P」地段內劃分為三個地段,地段A將興建6棟置換房,可提供約2000個單位,供受批地失效影響的合資格原「海一居」樓花購買者申請購買;地段B及地段C用作興建8棟暫住房,可提供約2800個單位,供受都市更新影響的不動產所有權人租住過渡重建。

項目的樓宇建造將採用裙樓樣式,建有綠化平台;周邊將建設商業空間、公共汽車轉乘站、2條公共道路、緊急消防車道、行人專用區及行人天橋等,以連接周邊社區,完善生活配套。整個項目可提供約2800個私家車位及逾1000個電單車位。

現時都更公司已獲批給項目用地,本月內會進行圍板工程及遷移地段內設施。都更公司將按序即時展開建築商資格預審及招標程序,以預先評定資格方式進行項目的四個招標,包括地段A置換房建造工程、地段B及地段C暫住房建造工程,當中地段C將按地段規劃拆分為兩個標段進行招標。招標程序完成後,爭取於2021年上半年內全面啟動工程,讓本地建築公司、建築業職工參與項目建設。項目計劃在2024年下半年竣工。

此外,都更公司正制定置換房的選購(俗稱:揀樓)方式及指引,計劃年內依法按序安排合資格的購買者選購。都更公司將適時啟動暫住房的租住安排,制定暫住房租住指引,並因應澳門都市更新的發展進程,安排受重建影響的居民暫住。